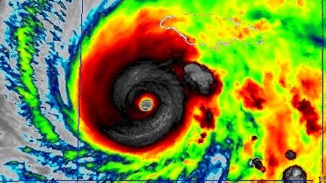
Fueled by abnormally warm Caribbean waters, Hurricane Melissa exploded into a Category 5 cyclone while moving at little more than a strolling pace – a dangerous mix that could amplify its impacts through relentless rain, storm surge, and wind.
Scientists say both rapid intensification and stalling storms are on the rise in a warming climate. Here's what to know.
Supercharged by climate change
Melissa jumped from a tropical storm with 70 mph (110 kph) winds on Saturday morning to a 140 mph Category 4 within 24 hours. It's since strengthened further into a Category 5, the highest level on the Saffir-Simpson, where even well-built structures face catastrophic damage.
Related: How Record-Breaking Hurricane Melissa Became a Monster Overnight
It was the fourth of five Atlantic hurricanes this season to intensify in such dramatic fashion.
"We haven't had that many hurricanes in the Atlantic this season, but an unusual proportion of them went through a phase of intensifying quite rapidly," meteorologist and climate scientist Kerry Emanuel of MIT told AFP.

While it's hard to read the fingerprints of human-caused climate change into individual events, scientists are more confident when it comes to trends. "This may very well be collectively a signature of climate change," he said.
Warmer sea surface temperatures inject more energy into storms, giving them extra fuel. But the relationship is nuanced: it's actually the temperature difference between the water and the atmosphere that sets a hurricane's potential strength, a concept Emanuel pioneered.
"There's this atmospheric warming that tends to reduce the intensity, and there's sea surface temperature warming, which tends to increase the intensity," atmospheric scientist Daniel Gilford of nonprofit Climate Central told AFP. "Generally speaking … we find that the sea surface temperature wins out."
Melissa passed over waters made 1.4 °C (2.5 °F) warmer due to climate change, Climate Central's rapid analysis said – temperatures that were at least 500 times more likely due to human-caused warming.
'A terrifying situation'
Warmer oceans also mean wetter storms. "We expect something like between 25-50 percent extra rainfall in a storm like Melissa because of human-caused climate change," said Gilford.
Compounding matters further is the storm's slow crawl – currently three miles per hour. Melissa is projected to dump 20-25 inches of rainfall on parts of Jamaica.
"It's this repetitive or continuous threat and existence in a dangerous situation," Jill Trepanier, a hurricane climatology expert at Louisiana State University, told AFP.
"It could be a prolonged surge. It could be high-level rainfall over a longer period of time, and your watershed can't handle it. It could be extreme wind speed over an extended period of time, and most infrastructure can't handle that. It could be a combination of all three."
Trepanier authored a research paper last year on the subject of so-called stalling storms, finding that such events in the Caribbean typically happen in October, near coastlines.
Normally, stalling storms tend to be dying out, as they pull up cold water from the depths of the ocean and are exposed to wavy, up-and-down winds in the atmosphere, tearing them apart.
What makes Melissa unusual is that it stalled and intensified in the same spot – a sign that the water was so warm, and the warmth ran so deep, it avoided the usual self-destructing effect.

"It's a bit of a terrifying situation," said Trepanier.
Former NOAA climatologist James Kossin, who has published several papers on the subject, said data clearly show that stalling storms are on the rise.
A possible driver is "Arctic amplification" – global warming reduces the temperature difference from the planet's low to high latitudes, weakening the winds that normally steer storms "like a cork in a stream." But more research is needed to confirm a causal link, he said.
Related: NOAA Forecasts a Busy Hurricane Season For 2025. What's Fueling It?
Trepanier added that understanding the human and ecological dimensions is just as important as the physics because humans respond differently to risk.
With Jamaica's mountainous terrain, torrential rainfall could trigger landslides, while heavy damage to hotel infrastructure could batter the tourism-dependent economy for years, she warned.
